
আন্তর্জাতিক ডেস্ক : এদিকে ঝড়টির ব্যাপারে অস্ট্রেলিয়াজুড়ে রেড অ্যালার্ট জারি করা হয়েছে। ক্ষয়ক্ষতি এড়াতে ওই অঞ্চলের হাজার হাজার অধিবাসীকে নিরাপদ আশ্রয়ে সরিয়ে নেয়ার নির্দেশ দেয়া হয়েছে।
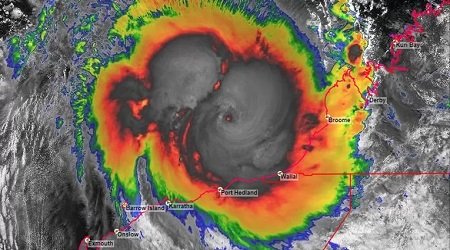
ভারত মহাসাগরে সৃষ্ট ঘূর্ণিঝড়টি ক্রমেই ওয়েস্টার্ন অস্ট্রেলিয়ার দিকে এগিয়ে আসছে। স্থানীয় সময় শুক্রবার (১৪ এপ্রিল) প্রথম প্রহরেই রাজ্যের পোর্ট হেডল্যান্ড ও ওয়ালাল ডাউনস এলাকার মাঝামাঝি আছড়ে পড়তে পারে। এটাকে গত ১৪ বছরের মধ্যে সবচেয়ে শক্তিশালী ঝড় বলে মনে করা হচ্ছে।
অস্ট্রেলিয়ার আবহাওয়া বিভাগ দ্য ব্যুরো অব মেটিওরোলজি বলছে, ঝড়টি ‘খুবই ধ্বংসাত্মক’। এটা ঘণ্টায় ৩১৫ কিলোমিটার/১৯৫ মাইল বেগে ওয়েস্টার্ন অস্ট্রেলিয়ার কিম্বার্লি ও পিলবারা অঞ্চলের ওপর দিয়ে বয়ে যেতে পারে।
এ ছাড়া ডিপার্টমেন্ট অব ফায়ার অ্যান্ড ইমার্জেন্সি সার্ভিসেসের পক্ষ থেকে বৃহস্পতিবার (১৩ এপ্রিল) সন্ধ্যায় একটি সতর্কবার্তা জারি করা হয়েছে। বলা হয়েছে, এই ঘূর্ণিঝড় মানুষ ও ঘরবাড়ির জন্য হুমকি তৈরি করেছে। আমাদের সামনে বড় বিপদ এবং এর মোকাবিলায় অবিলম্বে পদক্ষেপ নেয়া দরকার।’
এ অঞ্চলে অনেক আদিবাসী সম্প্রদায়ের বসবাস। এ ছাড়া এখানে রয়েছে আকরিক লোহার খনি, সোনার খনি এবং গবাদি পশুর খামার। আবহাওয়া বিভাগ বলছে, বাতাসের তীব্রতা এত বেশি হবে যে এতে গাছপালা উপড়ে পড়বে, বিদ্যুৎ সরবরাহ লাইন বিচ্ছিন্ন হবে। এ ছাড়া আকস্মিক বন্যাও দেখা দিতে পারে।
পোর্ট হেডল্যান্ড এলাকার প্রায় ১৫ হাজার অধিবাসীকে নিরাপদ আশ্রয়ে সরিয়ে নেয়ার নির্দেশ দিয়েছে কর্তৃপক্ষ। ঝড়ের সময় ঘরে দরজা ও জানালার কাছে না থাকার আহ্বানও জানানো হয়েছে।
এদিকে ওয়েস্টার্ন অস্ট্রেলিয়া রাজ্য সরকার রেড অ্যালার্ট জারি করে বলেছে, এখন আর ঘর থেকে বেরোনোর সময় নেই। কর্তৃপক্ষের পরবর্তী নির্দেশ না আসা পর্যন্ত ঘরেই অবস্থান করুন।
অস্ট্রেলিয়ার গবেষকরা বারবার সতর্ক করে বলেছেন, জলবায়ু পরিবর্তনের কারণে দেশটিতে দাবানল, বন্যা ও ঘূর্ণিঝড়ের মতো প্রাকৃতিক দুর্যোগের ঝুঁকিকে তীব্র করে তুলেছে।
কিউটিভি/আয়শা/১৩ এপ্রিল ২০২৩,/রাত ৯:২৮






